Patient Info
- Gender:
- Female
- Age:
- 50-something-years-old
- Surgeon:
- Dr. Inessa Fishman
Description
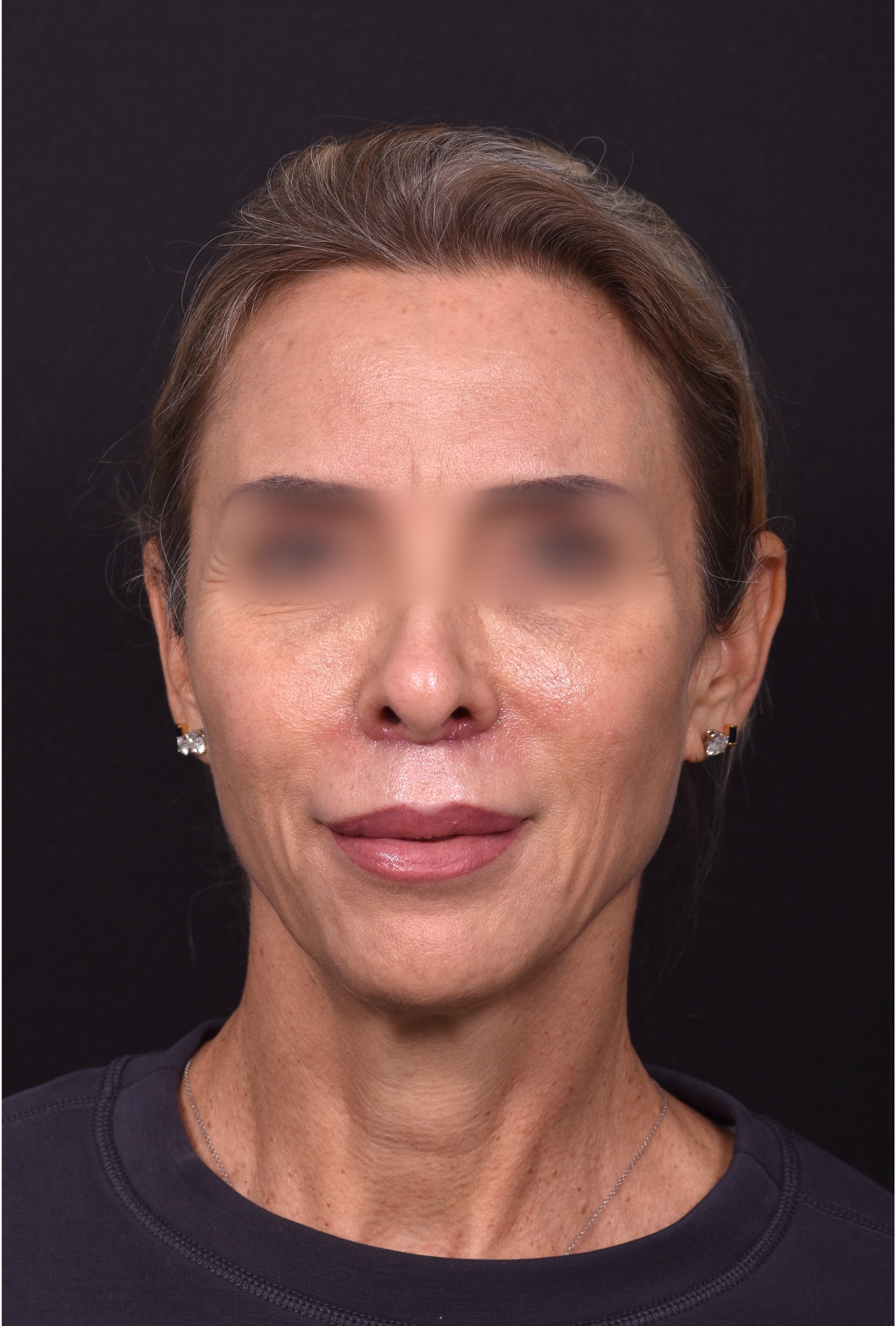
This 50-something-year-old woman was bothered by the appearance an excessively long upper lip, and reported silicone lip injections 25 years ago, with a subsequent surgical excision of upper lip silicone collections several years ago. Our patient wanted a very conservative, elegant balancing treatment to improve the appearance of her upper lip. Our expert facial plastic surgeon Dr. Inessa Fishman treated her with a bullhorn upper lip lift and surgical removal of raised silicone upper lip collections, performing this surgical procedure in the comfort of our office, with the help of by-mouth relaxing medications, laughing gas, and injectable numbing medicine.
The patient is shown just 6 weeks after her lip lift, with a beautiful outcome and excellent healing. She has a more open and balanced smile, and her upper lip is now more balance with her lower lip and face. The red part of the upper lip (where lipstick is normally applied) looks fuller and smoother after treatment, even with the concurrent excision of old silicone collections. Our patient has moderate resolving swelling and minimal redness of her scar. She will continue to heal and note a more natural, symmetric appearance over the next 6 months.








